|
|
 |
| ImmoID: 110124 Kfz-Werkstatt mit großem Grundstück und ergänzenden Mieteinnahmen |
| |
 |
| Detailansicht |
zurück |
 |
| |
|
Umgebungskarte
|
| |
 |
| Weitere Ansichten |
 |
| |
|
| |
 |
| Daten |
 |
| |
| Beschreibung: | Bei dem Verkaufsobjekt handelt es sich um eine noch aktiv betriebene Kfz-Werkstatt, einem neuen Fitnsstudio mit einem 10-Jahresmietvertrag, einer netzgekoppelter Solarstromanlage und einem großen Grundstück mit Baureserven.
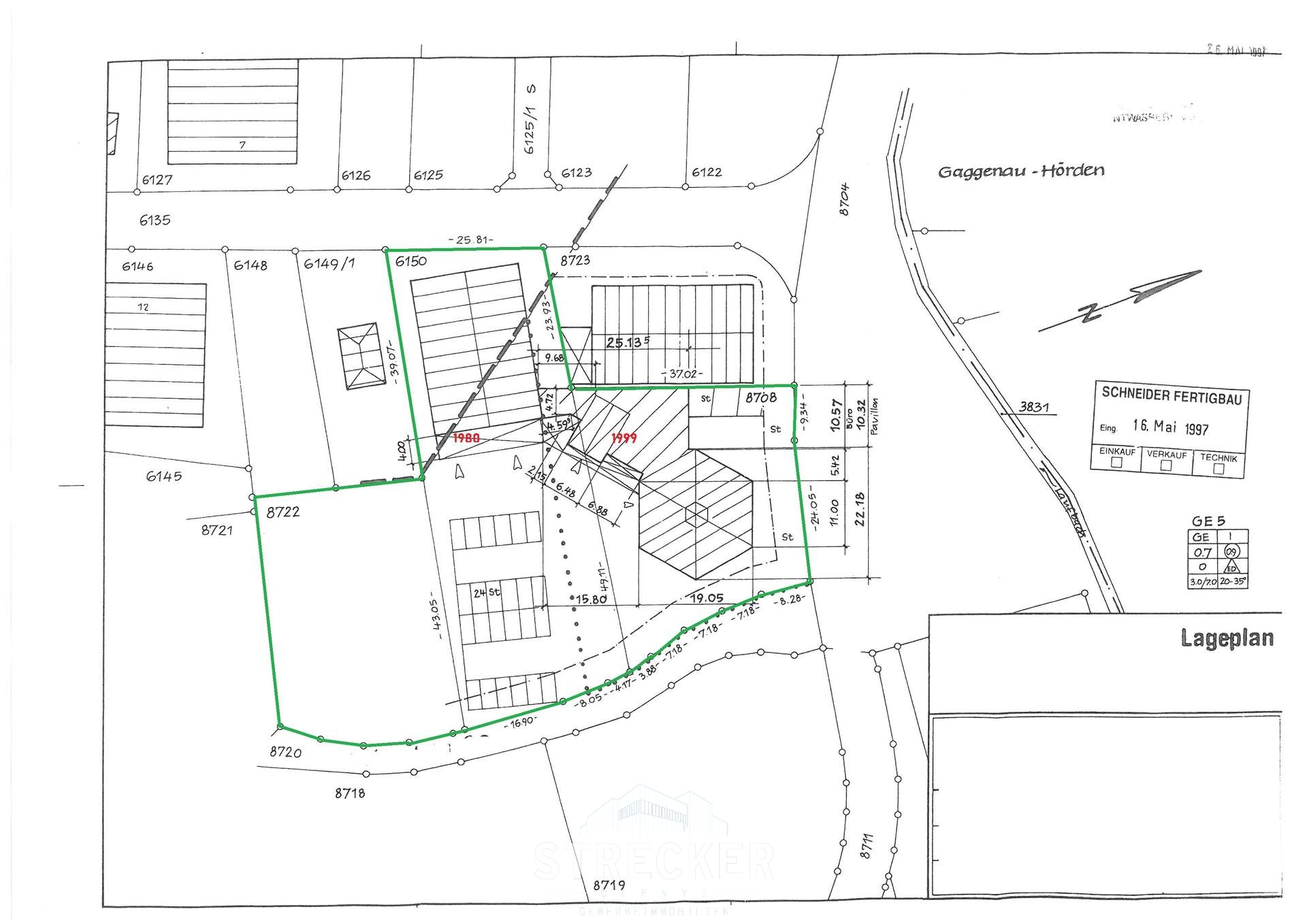
Die Gesamtgrundstücksgröße beträgt ca. 4.718 m² bestehend aus drei Flurstücknummern und verfügt über drei Zufahrtsmöglichkeiten.
Das bestehende Gebäudeensemble mit gesamt ca. 1.022 m² setzt sich zusammen aus.
a) Werkstatt, Lager, ehem. Waschhalle, Sozialraum mit WC und Dusche und Ausstellungsbereich mit Bürozone - Bj. 1985. Gesamtfläche ca. 432 m²
b) Neues Fitnesstudio (in dem 1990 erbauten ehemaligen Ausstellungspavillon) vermietet seit Januar 2025 mit ca. 590 m². Mieteingang p.a. € 45.600,00 ab Januar 2026.
Insgesamt stehen auf dem Areal ca. 70 Kfz-Abstellplätze zur Verfügung.
Der Werkstattbetrieb wird nach Verkauf eingestellt. Die Übernahme des Inventars kann vereinbart werden. Dieses ist nicht Bestandteil des Immobilienangebots. Die Freistellung kann nach Vereinbarung etwa 6 Monate dauern. |
| Ort: | 76593 Gernsbach |
| |
| Lage: | Die Stadt Gernsbach liegt im Landkreis Rastatt ca. 13 km östlich von Baden-Baden und ca. 40 km südwestlich von Karlsruhe. Die Wirtschaft der Region ist durch kleine und mittlere Gewerbe- und Handwerksbetriebe sowie die Papierindustrie geprägt.
Das Verkaufsobjekt befindet sich in nordöstlicher Eckrandlage von Gernsbach wenige 100 Meter von der B 462 entfernt. Die Umgebungsbebauung ist gewerblich geprägt. Überregionale Verkehrsanbindung besteht über die B 462 sowie über die 13 km entfernte A 5 (Karlsruhe-Basel). Der Bahnhof von Gernsbach bietet S-Bahnanschluss nach Karlsruhe und Freudenstadt. Des Weiteren bedienen mehrere Buslinien (u.a. Richtung Baden-Baden) den öffentlichen Personenverkehr. Über den rd. 25 km entfernten Flughafen Baden Airpark besteht Anbindung an den Luftverkehr. |
| Ausstattung: | Eine netzgekoppelte Solarstromanlage mit 38,61 KWp wurde 2010 errichtet. Mit der EnBW wurde ebenfalls 2010 ein Stromkeinspeisungsvertrag ohne zeitliche Bindung abgeschlossen. Der Ø jährliche Ertrag aus den Jahren 2019 - 2021 betrug hier € 13.592,-- |
| Sonstiges: | Ein aktueller (erstellt 02.02.2023, gültig bis 01.02.2033) vorläufiger Energieausweis ist auf Basis der Ø Verbrauchswerte vorhanden.
Verbrauchsausweis:
Energieträger: Heizöl
Baujahr: 1985
Endenergiebedarf Strom: 14,6 kWh/(m²*a)
Endenergiebedarf Wärme: 35,1 kWh/(m²*a) |
| |
| Kaufpreis: | 1.275.000,00 € |
| | |
| Grundstücksfläche: | 4718 m² |
| |
| Courtage: | 3,57 % (inkl. MwSt) |
| Anbieter-Objekt-Nr.: | 2025001 |
| Daten Energieausweis: | |
| Angaben Energieausweis: | Angaben soweit vorliegend, bzw. verfügbar. |
|
| |
 |
| Expose |
 |
| |
| Zum Drucken oder Aufbewahren können Sie das Expose herunterladen
|
| |
 |
| Immo-SuchAgent () |
 |
| |
| Einfach die Eckdaten Ihrer Wunschimmobilie eingeben und auch in Zukunft informiert bleiben! |
| |
 |
| Objektmerker |
 |
| |
| Dem Objektmerker hinzufügen. |
| |
 |
| Kontaktformular |
 |
| |
|
|
| |
| Rechtlicher Hinweis: Für die Inhalte sowie Richtigkeit und Aktualität des Angebots ist allein der Anbieter verantwortlich. Weitere gesetzlich vorgeschriebene Angaben zum Anbieter entnehmen Sie bitte, sofern nicht unter den weiteren Informationen des Anbieters angegeben, dessen eigener Webseite die wir unter genannter Seite anführen. Wenn Sie Ihre Telefonnummer angeben, geben Sie Ihre Einwilligung vom Anbieter zurückgerufen zu werden. |
|
 |
|