trenner
Immobilien Karlsruhe
trenner
home      suchen      wohnimmobilien      gewerbeimmobilien      firmen & makler      gesuch aufgeben      dienstleistungen      immo-magazin      
trenner
trenner
trenner trenner
Marktplatz
Gesuch aufgeben
Gesuche anzeigen
trenner
Immobilien
Wohnung Miete
Wohnung Kauf
Haus Miete
Haus Kauf
Möbliertes Wohnen
Alle Grundstücke
Grundstücke (Miete/Pacht)
Grundstücke (Kauf)
trenner
Suchen
Schnellsuche ImmoID
Erweiterte Suche
trenner
Immobilien anbieten
Private Anbieter
Gewerbliche Anbieter
trenner
Login
trenner
trenner
trenner
trenner Passwort vergessen
trenner Registrieren
trenner Als Makler registrieren
trenner
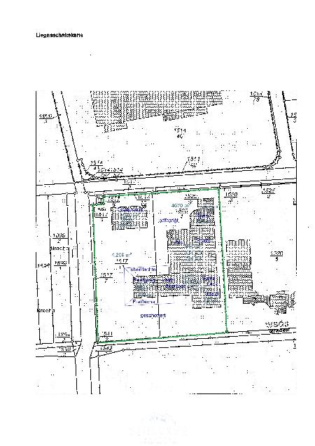
ImmoID: 110268    8819m² großes Gewerbegrundstück mit 3 Mietern in verkehrsgünstiger Lage in Bornheim/Pfalz
 
Detailansicht zurück
 
Kartenansicht Umgebungskarte
 
Weitere Ansichten
 
 
Daten
 
Beschreibung:Großes Eckgrundstück, bestehend aus 2 Flurstücken, mit 2 Zufahrungen und 3 langfristigen Mietern. Die Mietverträge haben eine fest vereinbarte Laufzeit zwischen Ende 2030 bis Ende 2031. Die Gesamtmietfläche beträgt ca. 3.864m² und erwirtschaftet ca. € 217.934,00 p.a. (einschließlich der Erträge einer PV-Anlage). Die Gebäude sind unterschiedliche Baujahre zwischen 1990 bis 2010.
Ort:76879 Bornheim
Lage:Markante Ecklage im gewachsenen Gewerbegebiet von Bornheim, direkt vis-a-vis dem Hauptsitz der Fa. Hornbach. Wenige Fahrminuten zur BAB A 65, bzw. B-10 und B-272
Sonstiges:Die angegebenen Preise sind Nettopreise. Ein Energieausweis wird gerade vom Eigentümer erstellt. Wir reichen diesen nach, sobald er uns vorliegt.
Kaufpreis:2.800.000,00 €
Kaltmiete:217.934,00 €
  
Grundstücksfläche: 8819 m²
Courtage: 3,57% (inkl. MwSt)
Anbieter-Objekt-Nr.: 2025099
Daten Energieausweis: 
Angaben Energieausweis: Angaben soweit vorliegend, bzw. verfügbar.
 
Expose
 
Zum Drucken oder Aufbewahren können Sie das Expose herunterladen
 
Immo-SuchAgent (neu!)
 
Einfach die Eckdaten Ihrer Wunschimmobilie eingeben und auch in Zukunft informiert bleiben!
 
Objektmerker
 
Dem Objektmerker hinzufügen.
 
Kontaktformular
 
Strecker-Olenyi
Herr Joachim Raber

Telefon: (0721) 96 24 6-63
Telefax: 07 21 – 9 62 46 – 69

Alle Objekte des Anbieters anzeigen

Weitere Informationen zum Anbieter
Anrede:
Vorname*:
Nachname*:
Straße / Nr*:
PLZ / Stadt*:
Telefon:
E-Mail*:
Ihre Wünsche:  
Bitte informieren Sie mich auch über vergleichbare Objekte.
Ich habe die Datenschutzerklärung gelesen und bestätige die Verwendung meiner Daten.
 
Rechtlicher Hinweis: Für die Inhalte sowie Richtigkeit und Aktualität des Angebots ist allein der Anbieter verantwortlich. Weitere gesetzlich vorgeschriebene Angaben zum Anbieter entnehmen Sie bitte, sofern nicht unter den weiteren Informationen des Anbieters angegeben, dessen eigener Webseite die wir unter genannter Seite anführen. Wenn Sie Ihre Telefonnummer angeben, geben Sie Ihre Einwilligung vom Anbieter zurückgerufen zu werden.
trenner
 
mannheim fertighaus center
 
wertermittlung
 
trenner
trenner
:Datenschutzerklärung | Wohnung in Karlsruhe kaufen | Haus in Karlsruhe kaufen | Immobilien in Karlsruhe | Immobilien in Pforzheim | Immobilien in Stuttgart | Kontakt | Impressum  | AGB